设万维读者为首页 广告服务 联系我们 关于万维
简体 繁体 手机版
分类广告
版主:白夫长
万维读者网 > 军事天地 > 帖子
美军战略潜艇部队指挥官分析,为什么号称地球最先进的海狼撞了
送交者: 力挽狂澜 2021年10月12日18:19:40 于 [军事天地] 发送悄悄话

装载着世界上最先进的传感器,价值数十亿美元的核潜艇为什么撞了

2021年10月7日,我们得知美国海军珍贵的海狼级核潜艇之一——仅建造的三艘潜艇之一——遭遇了严重的水下碰撞。这起事件据称发生在美国康涅狄格州号(SSN-22)在亚洲附近作业时。受损的潜艇随后不得不上浮跛行前往关岛,值得庆幸的是,船上没有人死亡,该船的核反应堆仍然处于安全状态。

康涅狄格州究竟撞上了什么仍然是一个谜,但许多人已经困惑,一个价值数十亿美元的核潜艇,它装载着地球上一些最先进的传感器——实际上是人类制造的最先进的核潜艇之一——怎么会碰到海浪下面的东西。

有着20年海军服役历史的美军战略导弹核潜艇声呐兵及教官亚伦·阿米克分析了三大原因:

实现安全、水下导航有两种常见方法:详细海底地图和主动高频声纳工作。

高精度海底地图始终是首选。主动声纳用于确认水深检查,附近的水下物体,如地雷、残骸和其他潜艇,对训练有素的声纳操作员是清晰可见的。

使用主动声纳的缺点是,搜索距离有限。典型的高频高分辨率声纳可能高达4680米,在良好的条件下,很容易探测到至少 8000米或更远的地方。这意味着对手可以定位潜艇的位置,只要使用高分辨率声纳,它就可以跟踪潜艇。

美国海军水下地图表是当今使用中最准确的图表。它们是数字式的,也带有纸质备份,可以更频繁地更新它们。理想情况下,美国海军的每艘潜艇都有最新的海底地图,能够准确反映船体外的真实情况。在实践中,我们发现情况并非总是如此。

如果潜艇在有对方潜艇存在的区域作业,他们可能会选择不使用高频声纳来验证周围的地形。如前所述,这是因为声纳在检测到时会暴露其位置。这意味着潜艇依靠重力加速度陀螺仪对潜艇的位置进行定位。这种导航有误差,随着时间的推移,最终潜艇可能离开位置数百米或更多。错误会随着时间而增长。本来美军有办法不动用声呐修复潜艇的位置,但他们不知为什么就撞了。

一艘洛杉矶级快攻潜艇在潜望镜深处。

再加上事发海域 是一个 非常繁忙的海上航线。商船活动增加使被动声纳效率降低。潜艇可以躲在嘈杂的地方,用大型商船背景噪音来掩盖它们的被动宽带信号。如果背景噪音足够大,掩盖了两艘潜艇的声音,两艘潜艇可能会非常接近对方,也不会听到对方的声音。事发海域 有多国常规和核动力潜艇活动,相撞的机率更大。2016年英国一核潜艇与商船相撞 核潜艇被撞坏。

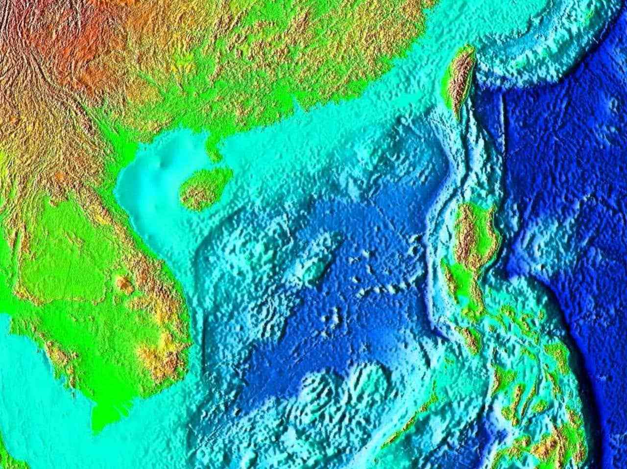
美国宇航局的地形图

再加上事发海域 的海底构造变化频繁,其地形很难导航。底部处于不断变化的状态。一些地区非常深,可能突然向非常浅的、接近垂直的结构变化。

如果不及时检测到,可能导致水下碰撞。

从历史上看,过去发生过碰撞的潜艇指挥官会怎么样?从历史上看,指挥官将被解除指挥权。


0%(0)
标 题 (必选项):
内 容 (选填项):
实用资讯
回国机票$360起 | 商务舱省$200 | 全球最佳航空公司出炉:海航获五星
海外华人福利!在线看陈建斌《三叉戟》热血归回 豪情筑梦 高清免费看 无地区限制